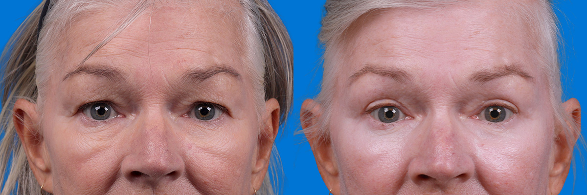
Patient Info Gender: Female Procedure: Patient had upper and lower eyelid surgery, as well as full-face laser skin resurfacing with Ross A. Clevens MD FACS.
Sign Up For Our Newsletter










Patient Info Gender: Female Procedure: Patient had upper and lower eyelid surgery, as well as full-face laser skin resurfacing with Ross A. Clevens MD FACS.
This gallery requires you to be 18 or older due to images containing nudity.

